fbpx


LOADING

0 East Street Simcoe, Ontario N3Y 2P1

$1,500,000

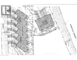
Shovel-ready 9-unit townhouse development in the Town of Simcoe, Norfolk County! Fully approved with services installed. Permits submitted for a three-unit townhouse building. All engineered drawings, zoning, and environmental audits are complete. Plans included in the sale. Don’t miss this opportunity—call today for details! (id:12481)

Property Details

MLS® Number 40787878
Property Type Vacant Land
AmenitiesNearBy Hospital

Building

BasementType None
UtilityWater Municipal Water

Land

Acreage No
LandAmenities Hospital
Sewer Municipal Sewage System
SizeFrontage 209 Ft
SizeTotalText 1/2 - 1.99 Acres
ZoningDescription R4

https://www.realtor.ca/real-estate/29110912/0-east-street-simcoe

Contact Us

Get in touch with us for more information!


Phil Spoelstra
Broker of Record

(519) 870-7325
(519) 667-1958
www.farmontario.com

RE/MAX Centre City Phil Spoelstra Realty, Brokerage
34 Grandview Crescent
London, Ontario N6K 2Y2

(519) 667-1800
(519) 667-1958
www.farmontario.com

Ron Steenbergen
Broker

(226) 234-8239
(519) 667-1958
www.farmontario.com/

RE/MAX Centre City Realty Inc., Brokerage
675 Adelaide Street North
London, Ontario N5Y 2L4

(519) 667-1800
(519) 667-1958
www.centrecityrealty.com