fbpx


LOADING

1468 Pettit Road Fort Erie, Ontario L2A 5M4

4 ac
Acreage

$995,000

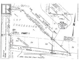
4.36 acres Vacant INDUSTRIAL LAND available. Zoned Prestige Industrial and located along the QEW Highway at Pettit Road with EXCELLENT QEW Highway exposure in Fort Erie, ON. Great location just minutes from the USA border at Peace Bridge. PI zoning allows many permitted uses including industrial warehousing, light manufacturing, self-storage, and more. The property is serviced with hydro-electric. Buyer to complete own due diligence for gas, water/cistern & sewer/septic bed services. Incredible opportunity to build or hold for future development. (id:12481)

Property Details

MLS® Number X12577968
Property Type Vacant Land
Community Name 331 - Bowen

Building

SizeInterior 4 Ac

Land

Acreage Yes
SizeDepth 169 Ft
SizeFrontage 404 Ft
SizeIrregular 4.36
SizeTotal 4.36 Ac
SizeTotalText 4.36 Ac
ZoningDescription Pi

https://www.realtor.ca/real-estate/29138362/1468-pettit-road-fort-erie-bowen-331-bowen

Contact Us

Get in touch with us for more information!


Phil Spoelstra
Broker of Record

(519) 870-7325
(519) 667-1958
www.farmontario.com

RE/MAX Centre City Phil Spoelstra Realty, Brokerage
34 Grandview Crescent
London, Ontario N6K 2Y2

(519) 667-1800
(519) 667-1958
www.farmontario.com

Ron Steenbergen
Broker

(226) 234-8239
(519) 667-1958
www.farmontario.com/

RE/MAX Centre City Realty Inc., Brokerage
675 Adelaide Street North
London, Ontario N5Y 2L4

(519) 667-1800
(519) 667-1958
www.centrecityrealty.com